Reconstruction du Ligament croisé crânial - 1 an après chirurgie
11-12-2025
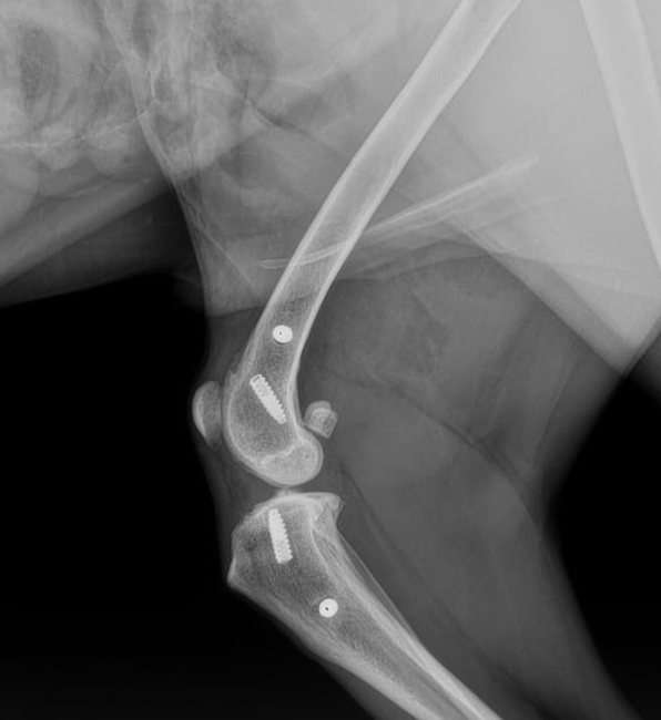
Aujourd’hui, nous vous partageons le suivi (vidéo + radio) de Horus, un Whippet âgé de 10 ans, 𝘂𝗻 𝗮𝗻 𝗮𝗽𝗿𝗲̀𝘀 𝘂𝗻𝗲 𝗰𝗵𝗶𝗿𝘂𝗿𝗴𝗶𝗲 de reconstruction du ligament croisé crânial du côté droit.
Pour ce cas, c'est le Z-lig® 32 / 17 (UHMWPE - 4 000N) qui a été utilisé et 4 vis canulées (ø 4.5mm) qui ont été mises en place pour maintenir l'implant.
Lors d'un examen clinique et radiographique à 1 an post opératoire, voici le constat:
✅ Grasset stable.
✅ Amplitude de mouvement complète.
✅ Masse musculaire retrouvée.
✅ Pas de migration des vis.
✅ Tunnels osseux intacts.

Pour découvrir et mettre en pratiques les applications chirurgicales possibles avec les solutions STIF - Pet Care, il est encore temps de s'inscrire à notre prochaine formation le 𝟵 𝗺𝗮𝗿𝘀 𝟮𝟬𝟮𝟲 qui aura lieu au CHV AniCura Aquivet(Mérignac) durant laquelle deux procédures couramment réalisées seront étudiées et pratiquées:
- Reconstruction du tendon d'Achille avec le L-ten®
- Reconstruction du ligament rond avec le H-lux®.
Pour toute demande d'informations / inscription, nous contacter ici.
Plus d'articles

Formation : 9 mars 2026 au CHV Anicura Aquivet (Mérignac)
2025-11-21
Formation en chirurgie : 9 mars 2026 au CHV AniCura Aquivet (Mérignac). Nous avons le plaisir d’annoncer une journée de formation le 9 mars 2026, qui sera dédiée à la reconstruction du tendon d'Achille avec le L-ten® et à la reconstruction du ligament rond avec le H-lux®. 🩺 Formateurs : Dr Nadège Chailleux&Geoffrey Pagès (Dipl. ECVS) 👤 Seulement 10 places disponibles. 📚 Cette session s’adresse aux vétérinaires souhaitant approfondir leurs connaissances en chirurgie orthopédique et mettre en pratique les dernières avancées techniques relatives à ces deux interventions complexes. Une belle opportunité pour échanger, se perfectionner et renforcer son expertise chirurgicale dans un cadre stimulant et collaboratif. 📩 Pour plus d’informations sur le déroulé de la formation et les modalités d'inscription, n'hésitez pas à nous contacter ici.

Reconstruction du ligament rond sous contrôle C-Arm
2025-06-12
Ulcko, petit Pomsky de 7,5 kg a été pris en charge par l'équipe de chirurgie au CHV AniCura Aquivet suite à un polytrauma incluant une luxation ouverte du tarse gauche et une 𝗹𝘂𝘅𝗮𝘁𝗶𝗼𝗻 𝗰𝗼𝘅𝗼-𝗳𝗲́𝗺𝗼𝗿𝗮𝗹𝗲 𝗮̀ 𝗱𝗿𝗼𝗶𝘁𝗲.Grâce à une approche chirurgicale mini-invasive guidée en temps réel par 𝗳𝗹𝘂𝗼𝗿𝗼𝘀𝗰𝗼𝗽𝗶𝗲, les Drs Vet. Geoffrey Pagès, Paula López de la Oliva Cases et Mia Gobin ont pu poser avec précision le 𝗛-𝗹𝘂𝘅®️ 𝟮𝟱 𝗳𝗶𝗯𝗿𝗲𝘀 (3 125 N) de chez STIF - Pet Care.✅ Résultat : une intervention plus rapide (25 minutes), moins invasive (l'articulation n'est pas abordée), et une récupération optimisée pour le patient (vidéo prise 3 jours après chirurgie). Ce type d'intervention démontre combien les technologies d'implants de nouvelle génération et l’imagerie avancée (ici le C-Arm) transforment encore la capacité de traitement des affections orthopédiques. Bravo à toute l’équipe vétérinaire pour cette belle collaboration technique et médicale ! Ce type d'intervention démontre combien les technologies d'implants de nouvelle génération et l’imagerie avancée (ici le C-Arm) transforment encore la capacité de traitement des affections orthopédiques. 👏 Bravo à toute l’équipe vétérinaire pour cette belle collaboration technique et médicale !

Reconstruction du tendon d'Achille chez le chat, quel implant utiliser ?
2025-04-09
L'utilisation du L-ten, spécialement conçu pour traiter les ruptures tendineuses, dépend uniquement de la taille des tunnels osseux réalisables. Dans le cas présent (rupture du tendon d'Achille sur un chat de 3,5 kg), le L-ten n'était pas adapté à son gabarit car nécessitant un tunnel osseux de diamètre trop important.C'est donc le Z-lig 16 fibres (10mm de longueur de fibres libres) qui a été choisi. Résistant à 2 000 Newton, cet implant peu volumineux est parfaitement adapté à une utilisation chez le chat. Il nécessite la réalisation d'un tunnel osseux de ø2,5mm, et la mise en place d'une vis d'interférence de ø3.0mm pour le maintenir fermement. Opéré de son membre postérieur droit par le Dr N. Chailleux en 2023, voici quelques images, 2 ans après chirurgie. La technique chirurgicale préconisée permet une période post opératoire peu contraignante pour l'animal et son propriétaire et une récupération optimale: Mobilité immédiate, pas de fixateur externe : une attelle dorsale et un Robert Jones durant 5 à 6 semaines permettant un appui partiel, sous-contrôle. La porosité unique des fibres libres (placées au niveau de la zone de rupture), favorise la colonisation par les fibroblastes qui permettent la création d'un nouveau collagène, orienté dans le sens de la traction.
Prendre rendez-vous en visio
Vous souhaitez en savoir plus ou commander un produit ? N’hésitez pas à nous contacter !
Nous contacter
Vous souhaitez en savoir plus ou commander un produit? N’hésitez pas à nous contacter !

Calendrier de nos formations et programmes
Pour découvrir le cheminement de R&D de nos innovations et se former aux techniques chirurgicales que nous proposons, avec des formateurs experts.
Calendrier de nos formations et programmes
Pour découvrir le cheminement de R&D de nos innovations et se former aux techniques chirurgicales que nous proposons, avec des formateurs experts.





